
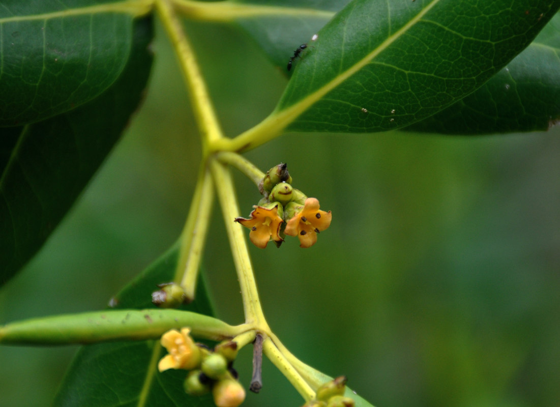
Часть побега с соцветием. Малайзия, о-в Калимантан, национальный парк Бако, мангровый лес. 11.05.2017.
See also:
All photos of taxon (25)

|
|
Feedback | Rule to use this image: Only by permission / all rights reserved (©). Copying and reprinting of this image is possible only with the permission of the author. Details | |